(541) 419-9022
Sign Up Login
Refine Search

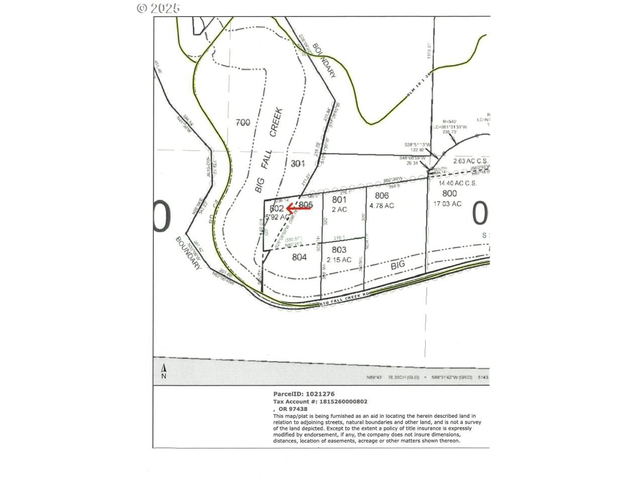
Big Fall Creek Rd, Lot #802, Fall Creek, OR 97438

$225,000

1 Total Photos [Click to View All]

Property Description

This beautiful 5.92 acre property is bordered on two sides by Fall Creek. In the Summer when the lake is full , the lake extends up the creek channel on the property the remainder of the year it is a flowing creek.. The land consists of 3 tax lots and one is a legal and buildable lot. The property was used as a recreation property, but is ready for a private residence. Well and septic are in. All information in regards to legal lot status, plat maps, etc. are available.

Big Fall Creek Rd, Unit 802 | MLS# 570709492

This land located at Big Fall Creek Rd, Unit 802, Fall Creek, OR 97438 is currently listed for sale with an asking price of $225,000. The property has approximately 5.92 Acres. Search Fall Creek real estate on tinaroberts.bendpremierrealestate.com today.

Property Features

Property Type: Land - Residential
Lot Size: 5.92 Acres
Taxes: $706

Feature Descriptions

Body of Water: Fall Creek
Days on Site: 350
Lot: Merchantable Timber, Private, Stream, Wooded
Present Use: Recreational
Road Surface: Gravel
Special View Info: Creek/Stream, Territorial, Trees/Woods
Utilities: Electricity Connected, Septic Tank, Well
Waterfront: Creek, Lake
Wooded: Yes

Local Schools

High School: Lowell
Middle School: Lowell
Elementary School: Lundy

Listed By / Shown By

Listed By

Agency Name: Keller Williams Realty Eugene and Springfield
Agency Contact: 541-349-2620

Shown By

Agent Name: Tina Roberts Broker
Agent Phone: (541) 419-9022
Agency Title: Bend Premier Real Estate

IDX logo

Estimate Your Payment

Estimated Payment

$ 1,262.18 per month $1,137.72 Principal & Interest $58.83 Property Tax $65.63 Homeowner's Insurance

Change Payment Information

%
years/fixed
yearly
yearly (est.)
(Payments are an estimate and may vary by lender)
Disclaimer: All information deemed reliable but not guaranteed. All properties are subject to prior sale, change or withdrawal. Neither listing broker(s) or information provider(s) shall be responsible for any typographical errors, misinformation, misprints and shall be held totally harmless. Listing(s) information is provided for consumers personal, non-commercial use and may not be used for any purpose other than to identify prospective properties consumers may be interested in purchasing. Information on this site was last updated 03/19/2026. The listing information on this page last changed on 03/19/2026. The data relating to real estate for sale on this website comes in part from the Internet Data Exchange program of Delta Media Group MLS (last updated Thu 03/19/2026 1:31:30 AM EST) or RMLS (last updated Thu 03/19/2026 1:29:17 AM EST) or COAR/MLSCO (last updated Thu 03/19/2026 1:21:23 AM EST). Real estate listings held by brokerage firms other than Bend Premier Real Estate may be marked with the Internet Data Exchange logo and detailed information about those properties will include the name of the listing broker(s) when required by the MLS. All rights reserved.

The content relating to real estate for sale on this web site comes in part from the IDX program of the RMLS of Portland, Oregon. Real estate listings held by other brokerage firms are marked with the RMLS logo, and detailed information about these properties includes the names of the listing brokers. Listing content is copyright © 2026 RMLS, Portland, Oregon. Some properties which appear for sale on this web site may subsequently have sold or may no longer be available.

Privacy Policy / DMCA Notice / ADA Accessibility

Login to My Homefinder

Pixel